Tibby_and_fibby_with_jennifer

Today I picked up our two kittens with deformed legs at our vet clinic in Helena, Montana Veterinary Specialists.  They had been at the clinic getting their limbs X-rayed, general medical exams, and bloodwork.  I took this photo of Dr. Jennifer Rockwell holding the two tykes.  That’s one of their X-rays on the lightboard.  Jennifer and the rest of the team at the clinic  provided wonderful care for the kittens, and of course everyone there fell in love with them.

Yes, we named them Tibby and Fibby, a suggestion by one of our blog readers.  In a blog comment posted on Aug. 14, Chris wrote that the names were "Just a way to try and give back what they don’t have, at least in name and spirit!"  We liked the idea and the names seemed to fit them!

We learned from the X-rays that both kittens actually do have tibias but not fibulas … and their tibias are not exactly normal, to say the least!

Normal_feline_pelvic_limb
Here is an X-ray of a normal feline rear leg. You can see that straight vertical limb — that’s the tibia, which is the shin bone in humans.  The fibula, which is much smaller and lighter in structure, runs along behind it and isn’t visible in this X-ray.  The tibia and fibula connect to the femur, or thigh bone, at the top of the image.

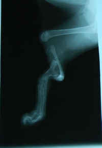
Tibbys_xray_2
Here is the X-ray of Tibby’s leg. You can see how radically different it is.  Not only is there no fibula, but the tibia — which is supposed to be long and straight and thick — is short and twisted and circles completely around.  It also doesn’t connect at all with the femur, which is why their legs dangle and flop when we hold the kittens up in the air.

Weird, huh?  So weird that our internal medicine specialist at the clinic, Dr. Britt Culver, has never seen anything like this before, and nor has Jennifer.

Tibby_and_fibby_xrays_2
So here’s a close-up of the X-ray that was on the lightboard, showing both limbs.  With the tibia completely malformed and the fibula entirely missing, we figured Tibby and Fibby seemed like appropriate names for these two … as Chris said, to give them back at least in name and spirit.

And they, like all of our animals, don’t let their disability slow them down one bit.  Indeed, we set them on the floor of the waiting room at the clinic, and they took off to go exploring!

Tibby_and_fibby_with_steve
Well, enough X-rays.  Here they are again in the exam room, with me serving as the kitten holder this time.  Tibby and Fibby weren’t the only cats I picked up at the clinic today, though — there was one more.  But her story will have to wait till tomorrow’s blog!

(Click on photos for larger image.)

Posted in

14 responses to “We Named Them Tibby and Fibby”

  1. Shirley & James, Portland, OR Avatar
    Shirley & James, Portland, OR

    PURRfect names! Tibby and Fibby are so darn cute and beautiful. They have grown so much in a short time. I really found the update interesting, and can’t wait until tomorrow’s blog surprise!!!

    Like

  2. ginger & Tobias (the greythound) Avatar
    ginger & Tobias (the greythound)

    Those exrays look like their back legs would hurt! That’s just bizaar! Great names you’ve chosen & it fits those two so well! You make a great cat holder, Steve!
    Big hugs to all,
    ginger, Tobias & Tlingit

    Like

  3. Boundforglory Avatar
    Boundforglory

    Tibby and Fibby are purrrfect names, great suggestion Chris!
    Their x-rays are very interesting and such a great contrast between a normal T & F. I love that they scoot around, unaware of their lacking Tib & Fib; because after all, they ARE Tibby and Fibby. They don’t need anything else other than to get home for some serious play, food and lovings.
    Can’t wait to meet the new feline arrival tomorrow; is it tomorrow yet? How about now…or now…?!?

    Like

  4. Clay Hickman Avatar
    Clay Hickman

    Great names! Dr. Jennifer is the best! She took great care of my cat when I ran over her last year. Ouch! Sitting in the waiting room of MVS waiting to hear of the outcome of the accident is when I picked up a copy of RDR’s newsletter and read it wondering if my cat would survive and walk again. Now, my cat is back to normal, running and jumping, and I’ve become a supporter of the Ranch. Thanks to both the Ranch and Dr. Jennifer for all that they do for our animal friends!

    Like

  5. Rosemary Avatar
    Rosemary

    Tibby and Fibby are wonderful names for the darling kitties. My goodness..those xrays look painful just to see them. I know they are getting all the love and attention at the ranch that they deserve. God bless you all in your endeavors for our beautiful animals. Thank goodness for the wonderful people such as yourselves that love these animals instead of putting them down. God bless you both.

    Like

  6. Sue H Avatar
    Sue H

    LOVE the names! Nice to see a happy story after such saddness lately. Will Tibby & Fibby need wheelchairs or will they continue to scoot around? They are so lucky to be with you at the Ranch. Bless their little hearts, and yours too!

    Like

  7. Nina Avatar
    Nina

    What a pair of cuties! These felines have it made at the ranch…welcome Tibby and Fibby!

    Like

  8. Sherry Linda Avatar

    It is truly a blessing by God, to take the time to care for something or someone less fortunate than ourselves. The bible states a blessing from God, for those who take good care of animals.
    Thank you for sharing this web site with me, and someday, I’d like to give back something in return.
    Sherry

    Like

  9. sherry Avatar

    It is always a blessing to care for someone or something that is less fortunate than yourself. Animals, although they are, are as soft and interesting as humans. They are created by God, who promised to bless those who take good care of their pets or someone or something (animals), who is less fortunate.
    I appreciate this web site, just to know that someone is taking part in this growing problem the right way.

    Like

  10. Beth Woodard Avatar
    Beth Woodard

    I have a cat without any back legs and she walks on her front legs and keeps her back end off of the floor. She climbs stairs and runs. She is our special gift. Her name is Cuddles.

    Like

  11. terry patterson Avatar
    terry patterson

    I’ve been visitng Montana for the last 8 years or so, the BEST place on earth! I wish I could be where you are doing the same thing! Not only is Montana a place I want to live the rest of my life so BAD, but what you and your wife do is such a blessing! Thank God he does make people with HUGE hearts for animals, any animal!
    You are wonderful people! Igive you many hugs and smiles for what you are all about.
    I always say to my “girls” Tippy Toes & Wiggins that they are my angels with fur. Some angels just have 4 legs instead of 2.
    God made them all and god bless your work!
    Terry from Tennnessee

    Like

  12. x-ray fluorescence Avatar

    Hi,
    Very nice post.It is always a blessing to care for someone or something that is less fortunate than yourself.

    Like

  13. Dog Stair Avatar

    Hi,
    Very nice pictures.Thanks for posting this blog.Their x-rays are very interesting and such a great contrast between a normal T & F..

    Like

  14. vet clinic in rockwall Avatar

    I really love animals but your love for pets is totally different. I must appreciate your team for your endeavor to help animals like Tibby & Fibby and many others. After reading this story I am inspired to work for you for this noble cause. Please advice me how can I help you and keep the flame of humanity forever…
    – Mathew J.

    Like

Leave a comment